Không chỉ xuất hiện trong bữa cơm gia đình của người dân địa phương, loài cá này còn góp mặt trong thực đơn của nhiều nhà hàng đặc sản, trở thành món ăn vừa dân dã vừa có giá trị ẩm thực riêng.
Nếu cá lóc nướng trui thường được xem là biểu tượng ẩm thực quen thuộc của miền Tây Nam Bộ, thì cá tai tượng cũng là một đặc sản đáng chú ý, gắn liền với đời sống sông nước và được nhiều du khách tìm thưởng thức mỗi khi có dịp về vùng này. Không chỉ xuất hiện trong bữa cơm gia đình của người dân địa phương, cá tai tượng còn góp mặt trong thực đơn của nhiều nhà hàng đặc sản, trở thành món ăn vừa dân dã vừa có giá trị ẩm thực riêng.

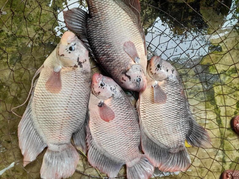
Cá tai tượng là loài cá nước ngọt có hình dáng khá đặc biệt. Thân cá dẹt sang hai bên, hình bầu dục, kích thước lớn, mõm nhọn và miệng rộng. Điểm dễ nhận biết nhất của loài cá này nằm ở vây bụng: tia vây mềm đầu tiên kéo dài thành hai sợi thon, rủ xuống phía sau. Khi cá di chuyển trong nước, hai sợi vây này đung đưa qua lại, tạo cảm giác như một cặp tai đang ve vẩy. Chính đặc điểm hình thái này đã khiến người dân từ lâu gọi loài cá này là cá tai tượng, một tên gọi mộc mạc nhưng dễ nhớ, được sử dụng phổ biến cho đến nay.
Lớp vảy cá tai tượng có màu bạc ánh, thân cá thường mang sắc xám tro trong môi trường tự nhiên. Tuy nhiên, trong quá trình lai tạo và nuôi cảnh, cá tai tượng còn xuất hiện với nhiều màu sắc khác nhau như trắng bạc, hồng phấn, vàng nhạt hoặc đỏ, phục vụ nhu cầu trang trí và nuôi làm cảnh. Dù vậy, dòng cá tai tượng được nuôi để làm thực phẩm vẫn là loại phổ biến hơn tại các tỉnh miền Tây.

Về nguồn gốc, cá tai tượng phân bố rộng ở khu vực nhiệt đới Đông Nam Á. Các quốc gia như Indonesia, đặc biệt là các đảo Borneo và Sumatra, Thái Lan, Campuchia và Lào đều ghi nhận sự xuất hiện tự nhiên của loài cá này. Tại Việt Nam, cá tai tượng được tìm thấy ở một số thủy vực như sông Đồng Nai, khu vực La Ngà, sau đó được người dân thuần dưỡng và nuôi phổ biến trong ao, mương, liếp vườn. Điều kiện sông nước chằng chịt, khí hậu nóng ẩm của Đồng bằng sông Cửu Long được xem là môi trường lý tưởng để cá tai tượng sinh trưởng.
Một con cá tai tượng trưởng thành có thể đạt chiều dài từ khoảng 40 đến 70 cm, thậm chí lớn hơn nếu sống trong môi trường tự nhiên thuận lợi. Nhờ kích thước lớn, cá tai tượng cho lượng thịt dày, chắc và ít xương dăm, rất phù hợp để chế biến nhiều món ăn. Hiện nay, nhiều địa phương ở khu vực miền Tây Nam Bộ cũng phát triển mạnh mô hình nuôi cá tai tượng, vừa phục vụ tiêu dùng tại chỗ vừa cung cấp cho thị trường nhà hàng, quán ăn đặc sản.

Trong ẩm thực Nam Bộ, cá tai tượng có thể được chế biến theo nhiều cách như kho tộ, chưng tương, nấu canh chua. Tuy nhiên, món ăn được xem là hấp dẫn và được ưa chuộng nhất vẫn là cá tai tượng chiên xù cuốn bánh tráng. Để có món ăn đạt độ ngon trọn vẹn, người dân thường chọn cá có trọng lượng khoảng 1 kg. Ở kích cỡ này, thịt cá vừa ngọt, vừa dai, khi chiên lên giữ được độ chắc mà không bị khô.
Quá trình sơ chế cá tai tượng đòi hỏi sự cẩn thận. Cá sau khi bắt lên thường được thả vào nước sạch một thời gian để nhả bớt nhớt và tạp chất. Khi làm cá, người chế biến không đánh vảy mạnh tay mà chỉ cần đập đầu, móc mang, bỏ ruột rồi rửa sạch. Cá được giữ nguyên con để khi chiên, lớp vảy bung đều, tạo độ giòn đặc trưng. Thoạt nhìn, món ăn này có thể khiến nhiều người "nổi da gà" bởi lớp vảy cá nở bung.
Chảo dầu phải được đun thật nóng trước khi thả cá vào, lửa duy trì ở mức vừa để cá chín từ từ. Khi một mặt cá chuyển sang màu vàng đều, người nấu mới nhẹ tay trở cá để tránh làm vỡ lớp vảy. Nếu lửa quá lớn, cá dễ bị cháy bên ngoài nhưng chưa chín đều bên trong, ảnh hưởng đến chất lượng món ăn.

Song song với việc chế biến cá, phần rau sống ăn kèm cũng đóng vai trò quan trọng. Rau thường là những loại có sẵn trong vườn nhà như rau thơm, chuối chát, khế, lá me non, đọt cóc, lá cách, hẹ. Sự kết hợp này không chỉ giúp cân bằng hương vị mà còn tạo nên nét đặc trưng rất riêng của ẩm thực miền sông nước, nơi con người tận dụng tối đa sản vật tự nhiên quanh mình.
Nước mắm chấm là yếu tố quyết định độ ngon của món cá tai tượng chiên xù. Tỏi được giã nhuyễn cùng ớt và một ít đường, sau đó vắt thêm nước chanh tươi, cho nước mắm ngon vào khuấy đều. Người pha có thể thêm một chút nước ấm để điều chỉnh độ mặn, sao cho chén nước mắm đạt sự hài hòa giữa các vị cay, mặn, ngọt và chua. Dù nguyên liệu đơn giản, nhưng để có chén nước mắm vừa miệng đòi hỏi kinh nghiệm và sự tinh tế của người chế biến.

Khi thưởng thức, bánh tráng gạo được nhúng nước cho mềm, trải mỏng ra, xếp các loại rau sống lên trên rồi gắp từng miếng thịt cá chiên vàng, vảy giòn rụm đặt vào giữa. Cuốn bánh được gấp gọn, chấm nhẹ vào chén nước mắm ớt đỏ au. Ngay khi cắn miếng đầu tiên, vị ngọt của thịt cá, vị giòn của lớp vảy, vị chát nhẹ của chuối, vị chua thanh của khế và vị cay nồng của nước mắm hòa quyện, tạo nên cảm giác tròn vị, khó quên.
Cá tai tượng chiên xù cuốn bánh tráng không phải là món ăn cầu kỳ về nguyên liệu, nhưng lại đòi hỏi sự chuẩn bị công phu và tỉ mỉ trong từng công đoạn. Chính sự kết hợp hài hòa giữa sản vật sông nước, rau vườn và cách chế biến khéo léo đã giúp món ăn này trở thành một nét đặc sắc trong bức tranh ẩm thực Nam Bộ. Với du khách, thưởng thức cá tai tượng không chỉ là trải nghiệm vị giác, mà còn là cách cảm nhận đời sống, văn hóa và sự gắn bó của người miền Tây với thiên nhiên sông nước.